Doris Weibert Estate - Absolute Real Estate Auction

Doris Weibert Estate
WESTON COUNTY WYOMING – TOWN OF UPTON
ABSOLUTE REAL ESTATE AUCTION
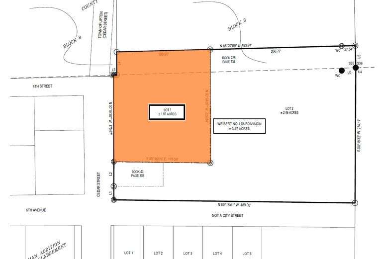
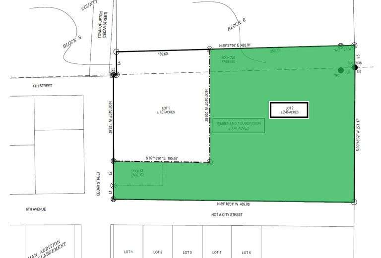
Well located Home & Shop on 3.47 +/- Timbered Acres – Offered in 2 Tracts & as 1 Unit.
Property Located at 722 Cedar Street, Upton Wyoming
Live Public Auction with online Simulcast Bidding available.
Tuesday September 16, 2025 – 1:00 PM MDT
Live Auction held at the Upton Community Center, 916 Ash Street, Upton WY.
Simulcast internet bidding available to Pre-registered bidders only!
Property features a comfortable, well built, 2000 sq. ft. (main floor) Ranch style home with attached 2 car garage. The main level features 3 bedrooms, 1 ½ baths, and spacious kitchen, dining room, family room and living room. The mostly unfinished lower level includes 2 (non-conforming) bedrooms, a ¾ bath, and an abundance of storage. Amenities include a well-appointed kitchen & appliances, attractive fireplace w/pellet stove, high efficiency hot water furnace, large covered deck, quality doors, flooring, and more. The 1280 sq. ft. shop includes a full concrete floor, 3 roll-up doors and is partially insulated & heated. Other improvements include a lawn shed, storage shed and an interesting vintage drive-in building!
This interesting, sizable lot features 3.47 +/- acres of nicely thinned Ponderosa Pine timber as well as shade trees within the fenced yard, all conveniently located within short walking distance from both schools, pool, and athletic field, as well as adjoining the east City limits and WY State lands. Located on Cedar Street, scheduled for repaving and utility upgrades, in the near future. The location simply could not be better.
Auctioneers Note: The late Fred & Doris Weibert enjoyed this attractive home for many years. The home has been well cared for and is “move in” ready. You will appreciate the large shop & garage, covered patio, outbuildings, fenced yard, garden area, and much more. If you enjoy having room to roam, certainly buy with the adjoining 2.46+/- timbered acres! If you are a developer or wish to own a large, premier and secluded site for your dream home, purchase the unimproved lot separately! Either way, this is a great opportunity to purchase a desirable property where YOU set the price! Have arrangements secured and be prepared to bid. . . either at the live auction or online, as this property WILL SELL WITHOUT RESERVE!
Inspection: Auctioneers will be at the property on Thursdays August 28, September 4 & 11 from 12:00 noon to 2:00 pm each day, AND Auction Day, Sept. 16 from 10:00 am to 11:30 am for your inspection. You may also call for an appointment OR contact your local Realtor, Key box is installed.
BROKER PARTICIPATION ENCOURAGED, Call for details. 605-673-2629
Doris Weibert Estate
Marguerite Cullum & Judy Weibert Kosola
Co-Personal Representatives
< Important Online Bidder Information >
Online Registration Not Required For Onsite/In Person Bidders
Online bids placed are absolute and are accepted and posted at the full amount bid.
Pre bidding will be open for online bidders from Monday, September 8, 2025 through Monday, September 15, 2025
Pre bids placed are binding and irrevocable.
It is very important for online bidders to read the "method of sale" and all posted "bidder information packets" prior to auction day.
Online bidders must create an online account and request approval to bid.
Register early to ensure you are ready to bid online auction day.
Please call our office prior to auction day if you have any questions or concerns about bidding online. Assistance may me limited auction day 605-673-2629
Auction Complete - Sold As 2 Separate Tracts



